

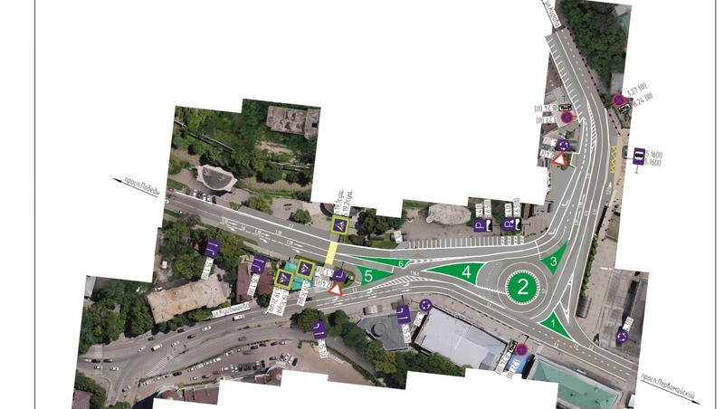
Обычно туристы подъезжают к Октябрьской площади со стороны проспекта Победы. Главным считается движение по кольцевому перекрёстку на проспект Первомайский, ведущий к Колоннаде и входу в Национальный парк. В будущем приоритетным могут сделать перпендикулярное направление — с улицы Куйбышева на Кирова через круг.
Пока что для безопасного проезда на перекрёстке ставят столбики и обозначают треугольники и окружности. Островки безопасности хотят огородить бордюрами, как это было в советские годы, а затем изменить приоритетность дорог.
«Если этого будет недостаточно для нормализации движения, то будем устанавливать светофоры, хоть они и замедляют движение. По итогу планируем сделать на островках безопасности красивые газоны и клумбы, а в центре круга — большой фонтан»,
— говорит глава Кисловодска Евгений Моисеев.


Ранее сообщалось, что автоинспекторы Ставрополья выявили десять нарушений при проверке автобусов. Сотрудники ГИБДД проверили тормозную систему, рулевое управление, осветительные приборы и другие важные узлы общественного транспорта.